سمندری طوفان’ تیج‘ کے پاکستان کی جانب بڑھنے کی پیشگوئی، الرٹ جاری

0 168

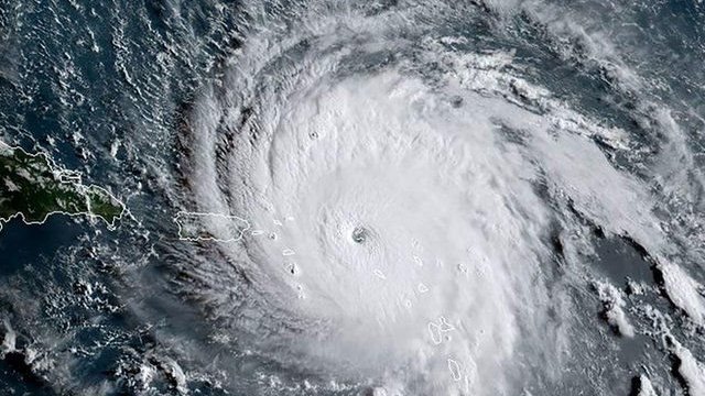
محکمہ موسمیات نے بحیر ہ عرب کے جنوب مغرب میں موجود نئے سمندری طوفان’ تیج ‘کے پاکستان کی جانب بڑھنے کی پیشگوئی کردی۔

محکمہ موسمیات کا کہنا ہے کہ بحیرہ عرب میں نیا سمندری طوفان پاکستان کی جانب بڑھ رہا ہے۔

طوفان کے خطرے کے پیش نظر پی ڈی ایم اے بلوچستان نے الرٹ جاری کردیا ہے جس میں گوادر، لسبیلہ اور حب کے ڈپٹی کمشنروں کو فوری اقدامات کی ہدایت کی گئی ہے۔

محکمہ موسمیات کے مطابق طوفان گوادر سے 1750 کلومیٹر جنوب اور کراچی سے 1810کلومیٹر جنوب مغرب میں ہے۔

محکمہ موسمیات کے مطابق سمندری طوفان اگلے 24 گھنٹوں میں سلالہ اومان کی جانب سے بڑھے گاجس سے پاکستان کو زیادہ خطرات نہیں ہیں۔

جواب چھوڑیں

آپ کا ای میل ایڈریس شائع نہیں کیا جائے گا.